โรงงาน / โกดัง - NVP1F0028


อสังหาริมทรัพย์ - ภาพรวม
|
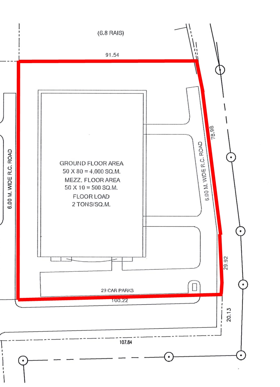
พื้นที่อาคารโดยรวม
4,500 ㎡พื้นที่โรงงาน / โกดัง : 4,000 ㎡
พื้นที่ออฟฟิศ : 500 ㎡ ขนาดอาคาร : 50X80 m. ประเภทอาคาร : อาคารเดี่ยว ขนาดพื้นที่ที่ดิน
6-3-20 ไร่ (10,880 ㎡)
ประเภทเขตพื้นที่ เขตอุตสาหกรรมทั่วไป
|
ค่าเช่า
877,500 บาท / เดือนราคาต่อตารางเมตร : 195 บาท / ㎡ / เดือน • อาจมีค่าใช้จ่ายเพิ่มเติมในแต่ละเดือนนอกเหนือจากค่าเช่า ดูข้อมูลเพิ่มเติมด้านล่างหรือสอบถามก่อนตัดสินใจ
วันที่สามารถเข้าใช้ได้ ทำสัญญาแล้ว
|
• รายละเอียดเกี่ยวกับค่าใช้จ่ายและเงื่อนไขเพิ่มเติม ดูข้อมูลด้านล่าง
• ข้อมูล ราคา และเงื่อนไขใดๆ ของอสังหาริมทรัพย์นี้ ได้รับมาจากการแจ้ง และสงวนสิทธิ์ในการเปลี่ยนแปลงใดๆ โดยไม่ต้องแจ้งให้ทราบล่วงหน้า โดยเจ้าของอสังหาริมทรัพย์, ทางเว็บไซต์ของเราไม่สามารถการันตีความถูกต้องของข้อมูลจากการเปลี่ยนแปลงดังกล่าว ดังนั้นผู้ซื้อหรือผู้เช่า จะต้องตรวจสอบความถูกต้องของ ข้อมูล ราคา และ เงื่อนไข กับทางเจ้าของอสังหาริมทรัพย์อีกครั้ง ก่อนที่จะตัดสินใจทำข้อตกลงหรือสัญญาใดๆ
• ข้อมูล ราคา และเงื่อนไขใดๆ ของอสังหาริมทรัพย์นี้ ได้รับมาจากการแจ้ง และสงวนสิทธิ์ในการเปลี่ยนแปลงใดๆ โดยไม่ต้องแจ้งให้ทราบล่วงหน้า โดยเจ้าของอสังหาริมทรัพย์, ทางเว็บไซต์ของเราไม่สามารถการันตีความถูกต้องของข้อมูลจากการเปลี่ยนแปลงดังกล่าว ดังนั้นผู้ซื้อหรือผู้เช่า จะต้องตรวจสอบความถูกต้องของ ข้อมูล ราคา และ เงื่อนไข กับทางเจ้าของอสังหาริมทรัพย์อีกครั้ง ก่อนที่จะตัดสินใจทำข้อตกลงหรือสัญญาใดๆ
มือสอง |
ได้รับความสนใจมาก |
แก้ไขล่าสุด || 6 พ.ย. 2568
คอมเมนต์
โรงงานให้เช่าในนิคมอุตสาหกรรมนวนคร ปทุมธานี
ทรัพย์สินตั้งอยู่บริเวณด้านในสุดของนิคมอุตสาหกรรม โดยใช้เวลาขับรถจากทางเข้าเพียงประมาณ 10-15 นาที
โรงงานมีพื้นที่ประมาณ 2,000 ตารางเมตร ซึ่งเป็นขนาดกลางสำหรับโรงงานให้เช่า
เนื่องจากโครงสร้างอาคารค่อนข้างเก่า และพื้นโรงงานสามารถรับน้ำหนักได้ 1 ตันต่อตารางเมตร จึงควรพิจารณาจุดนี้ อย่างไรก็ตาม สภาพการบำรุงรักษาโดยรวมยังดี สามารถดำเนินการตกแต่งภายในและเริ่มดำเนินการได้ทันที
สถานที่
จังหวัด
ปทุมธานี
ประเภทผังเมือง
สีม่วง (อุตสาหกรรม, โรงงานและโกดัง)
ค่าส่วนกลาง
โรงงาน / โกดัง
เขตอุตสาหกรรมทั่วไป : รวมในค่าเช่าแล้ว
เงื่อนไขการเช่า
ภาษี & ค่าธรรมเนียม
ภาษีโรงเรือน : รวมแล้ว (เจ้าของจ่าย)
ภาษีหัก ณ ที่จ่าย (5% / เดือน) : ไม่รวม (ผู้เช่าจ่าย)
ภาษีหัก ณ ที่จ่าย (5% / เดือน) : ไม่รวม (ผู้เช่าจ่าย)
• ในกรณีการเช่า นอกเหนือจากค่าเช่าปกติ ผู้เช่าจะต้องชำระภาษีโรงเรือนเพิ่มอีก
ระยะเวลาทำสัญญาขั้นต่ำ
3 ปี
ค่ามัดจำสัญญา
5 เดือน
เงื่อนไขการตกแต่งภายใน
ระยะเวลาฟรีสำหรับตกแต่ง : ไม่มี
ระบบโครงสร้างพื้นฐาน
การรับน้ำหนักของพื้น
รองรับมากที่สุด : 2 ตัน / ตร.ม.ความสูงจากพื้นถึงโครงสร้างหลังคา
ความสูงมากที่สุด : 7 เมตรไฟฟ้า
มีเฉพาะระบบไฟฟ้าปกติและไฟฟ้าแสงสว่าง ไม่มีระบบไฟฟ้า / หม้อแปลง / แผงควบคุม สำหรับการใช้งานในโรงงาน, ต้องติดตั้งเองหากต้องการประปา
มีเฉพาะระบบประปาปกติ ไม่มีสำหรับรองรับการใช้งานสำหรับอุปกรณ์โรงงาน, ต้องติดตั้งท่อและปั๊มเองหากต้องการการตกแต่งภายในอาคาร
ไม่มี (ต้องก่อสร้างเพิ่ม)ระบบโทรศัพท์
ไม่มีระบบสาย ตู้สาขา เครื่องโทรศัพท์, ต้องติดตั้งเองหากต้องการระบบอินเตอร์เน็ต
ไม่มี ต้องติดต่อผู้ให้บริการ และติดตั้งเองหากต้องการระบบเครื่องปรับอากาศ
โรงงาน : ไม่มี (ต้องติดตั้งเอง ถ้าต้องการ)ออฟฟิศ : ไม่มี (ต้องติดตั้งเอง ถ้าต้องการ)























