工場・倉庫 - AMN1F0143


|
物件 - 概要
|
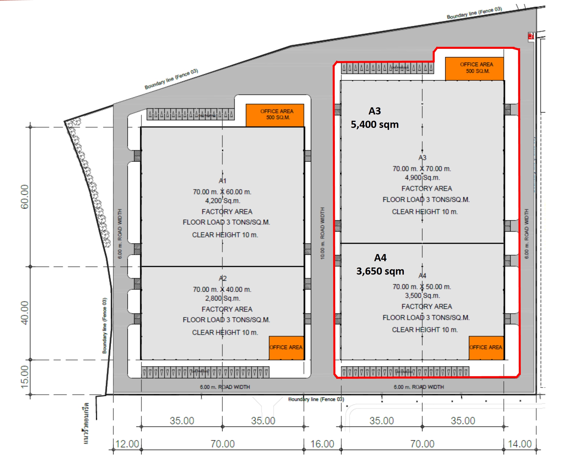
建屋面積合計
9,050 ㎡ (2,742 坪)工場・倉庫面積 : 8,250 ㎡
事務所面積 : 800 ㎡ ゾーン区分 ゼネラル・ゾーン(一般加工区)
|
家賃
1,719,500 バーツ / 月(約810万円 / 月) 、(約53,305 USD / 月) 平米単価 : 190 バーツ / ㎡ / 月 (約895円 / ㎡ / 月) 、(約6 USD / ㎡ / 月) ※ 現在の賃貸価格に諸税等が別途係る場合があります。下記のその他費用の項目の掲載欄をご確認されるか、個別にお尋ね下さい。
入居・購入可能日 契約済み
|
※ 1 バーツ (Baht)=約4.71円、1円=約0.212バーツ 、
1 バーツ (Baht)=約0.031 USD, 1 USD=約32.18 バーツ
( バンコク銀行レート:2025年10月29日現在 ) ※ 上記記載の販売価格以外に、諸税等や、手数料などは下記に記載がありますので、ご確認下さい。
※ 掲載の物件の売買・賃貸の条件は大家(オーナー)からの情報を元に正確を期して作成をしております。 但し、当運営サイトでは、その情報の正確性、完全性を保証するものではありません。大家(オーナー)の判断により今後予告なしに変更される事があります。 購入者、賃貸者は必ず購入、賃借の前に大家(オーナー)に条件をご確認下さい。また、購入、賃貸に際してはご自身の判断でなされる様お願い申し上げます。弊社は、それらに関しての一切の責任を負いません。
( バンコク銀行レート:2025年10月29日現在 ) ※ 上記記載の販売価格以外に、諸税等や、手数料などは下記に記載がありますので、ご確認下さい。
※ 掲載の物件の売買・賃貸の条件は大家(オーナー)からの情報を元に正確を期して作成をしております。 但し、当運営サイトでは、その情報の正確性、完全性を保証するものではありません。大家(オーナー)の判断により今後予告なしに変更される事があります。 購入者、賃貸者は必ず購入、賃借の前に大家(オーナー)に条件をご確認下さい。また、購入、賃貸に際してはご自身の判断でなされる様お願い申し上げます。弊社は、それらに関しての一切の責任を負いません。
新築物件 |
入居検討企業多数 |
最終更新日 || 2026年1月22日
ロケーション
県
チョンブリ
ゾーン区分
工業地域(紫)
賃貸基本条件
最低契約期間
3 年間
敷金(デポジット)
6 ヶ月
インフラ設備
耐加重
耐加重 工場の主要エリア : 3 t / 平米天井高(天頂部高さ)
最大高 : 10 m.電気
なし(工場、オフィス部分の照明配線のみ。工場内配線、変圧器、配電盤などなし。必要な場合は自社にて設置工事。)水道供給
なし(生活用水のみ。工場設備としての給水設備は無いので、必要な場合は自社にて配管工事・ポンプ設置が必要。)物件の内装工事・設備工事の現状
なし(必要な場合は自社にて設置工事)電話設備 回線設定
なし(電話線ジャック、電話交換機、電話機なし。必要な場合は自社にて設置工事。)インターネット配線・サーバ等システム
なし(必要な場合はプロバイダーに連絡し、設置工事。)エアコン・システム
工場 : なし(必要な場合は自社にて設置)施設・設備
セキュリティ
● 共有での警備体制 (セキュリティ・ゲート)火災設備
● 消火設備・ホース● 火災報知機
● 煙探知機
駐車場
● 工場敷地内に 16 台分の駐車場あり工場内変圧器設備
あり160 KVA/unit



























